

Finca frente al mar Bejuco Calovébora
Ubicada en. Provincia de VERAGUAS. Municipio de CALOVEBORA.
Lugar playa bejuco, Calovebora.
Distrito. SANTA FE.
Globo nº 1,
frente a la playa. Con una distancia de 362 metros.
Situación legal. Derecho posesorio ocupado desde los años 40, siendo los fundadores del mismo pueblo.
Solicitado en compra al estado.
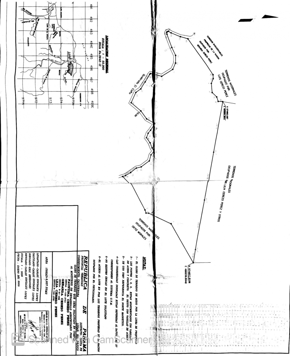
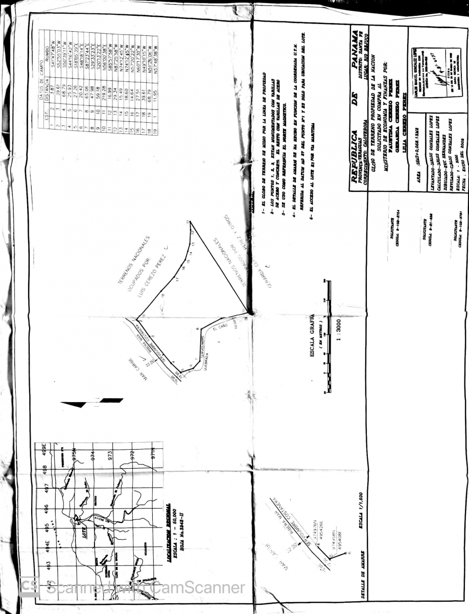
Superficie. 5 HAS, + 3.384,22 M2.
Precio de venta. A $ 0,90 X m2. (53.384,22 mt2) = un total de ($48,045.80)
La distancia de la carretera de acceso al pueblo de Calovebora a la propiedad en línea recta es de 19,50 kilómetros.
Frente de playa, como se indica en el mapa desde el punto 1 hasta el punto 7, un total de 362,03 metros.
Parte del segundo globo de propiedad de la familia CEREZO PEREZ. Siendo los propietarios de la misma, globo de tierra.
Playas de arena blanca. A menos de un kilómetro del río bejuco y a un lado a menos de 100 metros de la propiedad se encuentra la zona de playa con facilidades para la entrada de embarcaciones.
--------------------------------------------------------------------------------------------
Situación jurídica. Derechos posesorios ocupados desde los años 40, por los mismos propietarios, siendo los fundadores del mismo pueblo. Solicitado en compra al estado.
Superficie. De 32 HAS+ 5.729,32M2. con plano aprobado.
PRECIO DE VENTA: 325,729.32 mt2 x 0.60= $195,437.60
Globo de terreno con una profundidad aproximada de 450ms. Colindante en una parte trasera con el globo nº 1, antes mencionado, siendo la parte trasera del mismo con una distancia aproximada de 814 ms.
La parte trasera del globo 2 se encuentra a pocos metros de la localidad de Bejuco con sus servicios. Escuela pública, tiendas de abarrotes, wifi, bosques primarios con variedad de árboles maderables de muy buena calidad y palmas de varios tipos perfectas para la construcción de techos para ranchos y frutos nativos como el cacao y otros.
Cabe destacar la futura construcción de una carretera costera que pasaría cerca de la propiedad. Esta cruzará desde la provincia de Colón hasta Chiriquí Grande Bocas del Toro,
PRECIO TOTAL DE LOS DOS GLOBOS DE $240,000.00
