Unimproved Land For Sale in Boquete

  Save       Print

Property Details

Property ID
20113
Status
For Sale
Location
Boquete
Property Type
Lot
Sale Price
$ 51,000
Total Area
3027 m2
Date Published
Jul 22, 2025
Updated
Feb 20, 2026
Times Viewed
1257

Property Description

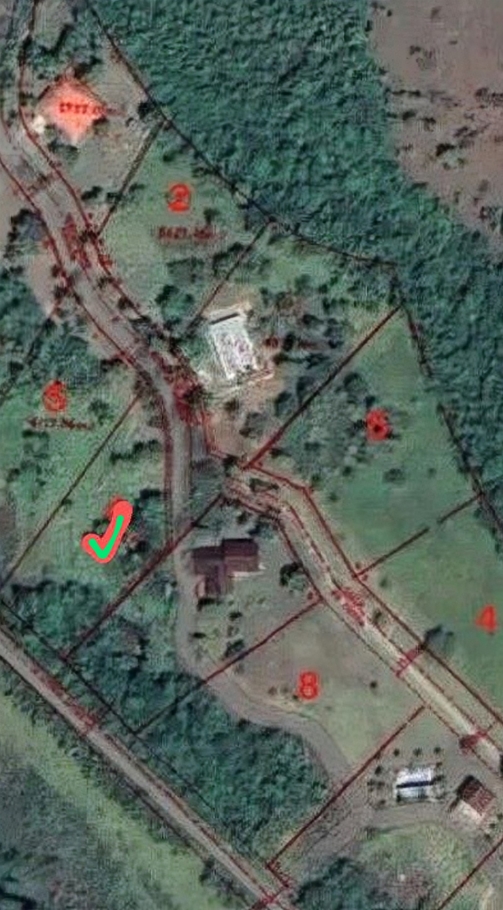
Your new property is located at an altitude of approx. 850 m above sea level in the picturesque highlands of Potrerillos Arriba, surrounded by lush greenery and breathtaking landscapes in a peaceful setting.

The spacious lot of 3,027 m offers plenty of space for your dream home and garden, your imagination is the limit. It is located in a small expat community with its own road and a gate for your security, a perfect blend of privacy and community. All parcels are already sold, many already built on. Both power and municipal water are available on your land, plus there is a well just for your use - there is no reason not to start building your home immediately.

The lot is divided by a seasonal stream at the rear - your own little island under shady trees.

Potrerillos Arriba is a hidden treasure that offers tranquillity while being just a stone's throw from the amenities of civilization. It's a 30-minute drive to David and 45 minutes to Boquete. In Boquete you will find restaurants, stores and many leisure activities. In David there is everything you need to live, supermarkets, doctors, hospitals and even an airport.

Don't miss this last opportunity to become part of this community of US Americans, Canadians and Europeans.

Map

Show Location

Contact


More properties by Carol Franklin